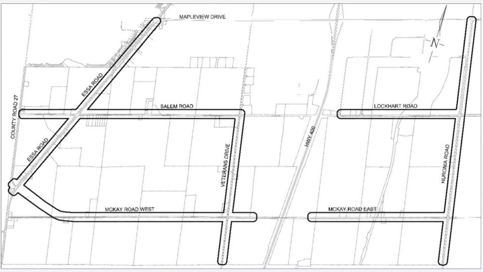
This Class EA addresses transportation improvements for the Salem Secondary Plan Area to determine the most appropriate design for future reconstruction projects, as recommended in the City’s Multi-Modal Active Transportation Master Plan.
Status: Study was initiated in 2015. The Notice of Completion was published in October 2017 for the 30-day public review period commencing October 12, 2017.
Consultant: Stantec Consulting Ltd
Study Level: Municipal Class EA Schedule C
Purpose: To consider design alternatives and establish the preferred recommended design alternative for transportation improvements in the Salem Secondary Plan Area.
Scope: The City looked at a number of design alternatives associated with implementing transportation improvements. The impact of transportation improvements on physical, natural, social, cultural and economic environments will also be looked at during the study.
Key Considerations: Impacts on property, driveway and trees within the study area.

Public Information Centres
Report & Appendices
- Salem Transportation_Barrie_ESR
- Appendix A_Phases 1 and 2 Information
- Appendix B-1_Study Notifications
- Appendix B-2_Public Information Centres_Part_1
- Appendix B-2_Public Information Centres_Part_2
- Appendix B-2_Public Information Centres_Part_3
- Appendix B-2_Public Information Centres_Part_4
- Appendix B-3_Public Correspondence_Part_1
- Appendix B-3_Public Correspondence_Part_2
- Appendix B-3_Public Correspondence_Part_3
- Appendix B-3_Public Correspondence_Part_4
- Appendix B-4_Agency Correspondence
- Appendix B-5_Stakeholder Meeting Minutes
- Appendix B-6_Indigenous Consultation
- Appendix C_Traffic Operations Report
- Appendix D_Stormwater Management Report
- Appendix D_Drawing 1_0 App A
- Appendix D_Drawing 1_1 App A
- Appendix D_Drawing 1_2 App A
- Appendix D_Drawing 1_3 App A
- Appendix D_Drawing 1_4 App A
- Appendix D_Drawing 2_0 App A
- Appendix D_Drawing 2_1 App A
- Appendix D_Drawing 2_2 App A
- Appendix D_Drawing 2_3_App A
- Appendix D_Drawing 2_4_App A
- Appendix E_Preliminary Foundation Investigation
- Appendix F_Natural Heritage Report
- Appendix G_Cultural Heritage Assessment_Part_1
- Appendix G_Cultural Heritage Assessment_Part_2
- Appendix H_Stage 1-2 Archaeological Assessment
- Appendix I_Noise Impact Assessment
- Appendix J_Rail Crossing_Safety Study_Part_1
- Appendix J_Rail Crossing_Safety Study_Part_2
- Appendix J_Rail Crossing_Safety Study_Part_3
- Appendix K_Conceptual Servicing Design Report
- Appendix_ L Key-Plan.pdf
- Appendix_L Essa Rd
- Appendix_ L Huronia Rd
- Appendix_ L Lockhart Rd
- Appendix_ L McKay Rd - Veterans to Essa
- Appendix_ L McKay Rd -Hwy 400 to Huronia
- Appendix_ L Salem Rd
- Appendix_ L Veterans Dr
- Appendix M_Design Criteria
- Appendix N Cover Page
- Appendix N_Typical Sections
- Appendix N_Driveway Profiles
- Appendix N_Essa Road Preferred Design_Plan and Profile
- Appendix N_Huronia Road Preferred Design_Plan and Profile
- Appendix N_Lockhart Road Preferred Design_Plan and Profile
- Appendix N _McKay Road East Preferred Design_Plan and Profiles
- Appendix N_McKay Road West Preferred Design_Plan and Profile
- Appendix N_Salem Road Preferred Design_Plan and Profile
- Appendix N_Veterans Drive Preferred Design_Plan and Profile
- Appendix O_Cost Estimate